General Residential development ground for sale in Okahandja, various erf sizes available, serviced land.
Zoning: General Residential 1:100
General Residential Development Ground for Sale-Okahandja
REGISTERED : PTY
N$198. p/sqm - HUGE PRICE DROP
The ground is serviced
Zoning: General Residential 1:100
Purchase price + Vat + transfer fees (must be bought out of Pty)
Unless you purchase all stands then you just take over the PTY - no vat - huge saving on transfer fees
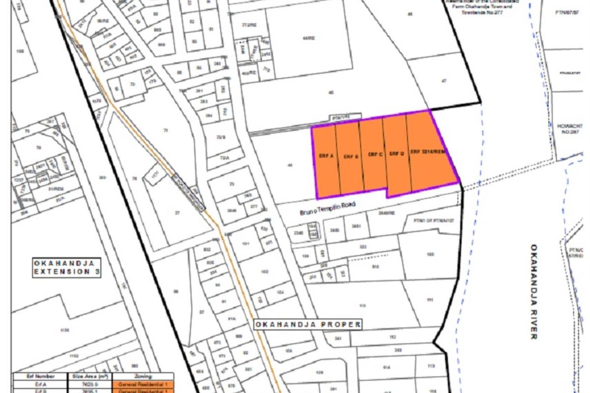
SEE ATTACHED DIAGRAM FOR ERF SIZES
ERF A - 7623 SQM
ERF B - 7635.1 SQM
ERF C - 7616.8 SQM
ERF D - 8494.7 SQM
RE/3216 - 12 468.2 SQM
CAN BE SOLD SEPARATE OR COMBINED TO A TOTAL OF 43 838.70 SQM
Listed for sale at N$8,680,062
MyProperty Benchmark Indicator: Data-driven comparison vs similar active properties
Based on 43 listings in Okahandja Central
Insight
Priced above the median for similar land listings in the area. On a price-per-land-m² basis, it is 40% below the median. Land size is 1748% larger than typical for similar land.
Similar properties pricing
Key differences
Affordability
N$ 85,207 / month
Estimated bond repayment
20 years · 10.25% · 0% deposit
Market depth
43 similar listings
High similar land inventory in Okahandja Central
Median time on market: 229 days
* Insights are based on current active listings (excludes sold data) and may change. This is not a valuation or appraisal. Smart Property Insights Model v1.0
Okahandja Central offers a blend of small-town charm and essential amenities, making it a convenient and accessible place to live within a historically significant Namibian town.
* Distances and amenities are approximate.